Bebauungspläne Online
A. Bebauungspläne im Aufstellungsverfahren
derzeit sind keine Bebauungspläne im Aufstellungsverfahren
B. (rechtsgültig und genehmigte) Bebauungspläne
Alle ab 2000 aufgestellten Bebauungspläne der Gemeinde sind Online abrufbar.
Das Baugenehmigungsverfahren soll dadurch Online transparent gemacht werden, d.h. der Bürger bzw. der Häuslesbauer braucht jetzt nicht mehr aufs Rathaus zu kommen, um bestimmte Bebauungspläne anzusehen. Er kann dies bequem vom heimischen PC aus erledigen.
1. Bebauungsplan „Alte Spinnerei Fallenbach“
| Textteil |
Begründung |
Plan |
|
1. Änderung des Bebauungsplans Alte Spinnerei-Fallenbach |
||
| Textteil | Begründung | Plan Deckblatt 1 |
2. Bebauungsplan "Echazufer"
| Textteil | Begründung zum B-Plan | Zeichnerische Darstellung (Plan) |
3. Bebauungsplan "Eisenbahnstraße Nord"
| Textteil | Begründung zum B-Plan | Zeichnerische Darstellung (Plan) |
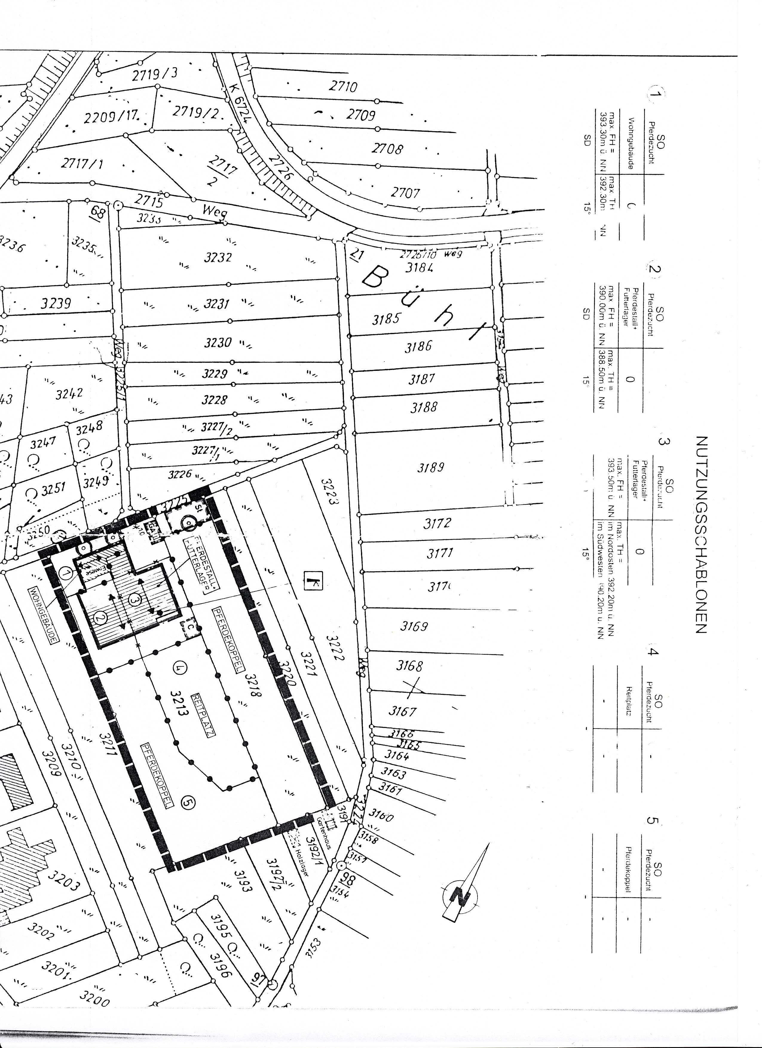
4. Bebauungsplan "Eiwiesen - Sondergebiet Pferdezucht / Pferdehaltung"
| Textteil | Begründung zum B-Plan | Zeichnerische Darstellung (Plan) Legende |
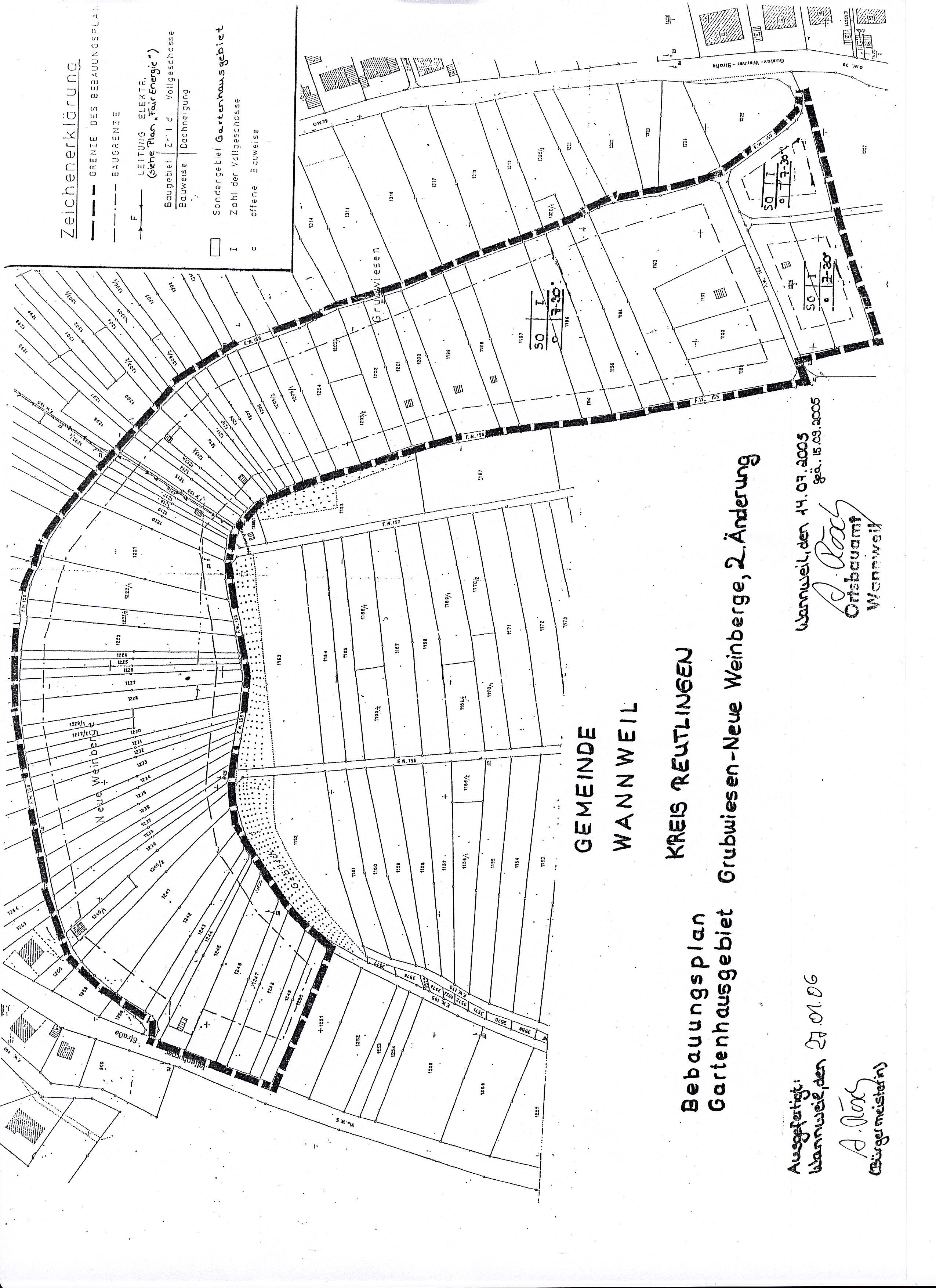
5. Bebauungsplan Gartenhausgebiet "Grubwiesen - Neue Weinberge"
| Textteil Örtliche Bauvorschriften |
Begründung zum B-Plan | Zeichnerische Darstellung (Plan) |
6. Bebauungsplan "Hohenäcker 1"
| Textteil Örtliche Bauvorschriften |
Begründung zum B-Plan | Zeichnerische Darstellung (Plan) |
7. Bebauungsplan "Stockacher Halde"
| Textteil | Begründung zum B-Plan | Zeichnerische Darstellung (Plan) |
8. Bebauungsplan "Südlicher Pfaffenäcker"
| Textteil Örtliche Bauvorschriften |
Begründung zum B-Plan | Zeichnerische Darstellung (Plan) Legende zum B-Plan |
9. Bebauungsplan "Weilhau"
| Textteil |
Begründung zum B-Plan | Zeichnerische Darstellung (Plan) Legende |
10. Bebauungsplan "Weingärten"
| Textteil | Begründung zum B-Plan | Zeichnerische Darstellung (Plan) |
11. Bebauungsplan zur Änderung der Baulinienfestsetzung "Gewand Wengenäcker"
| Textteil | Begründung zum B-Plan | Zeichnerische Darstellung (Plan) |
12. Bebauungsplan "Schloßstraße - Im Wiesengrund, 4. Änderung"
| Textteil | Begründung zum B-Plan | Zeichnerische Darstellung (Plan) |